
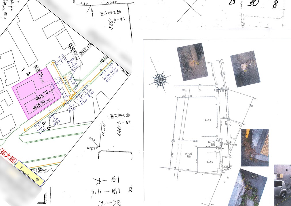
東京都豊島区の案件
東京都豊島区の案件
2025年11月
豊島区池袋、巨大ターミナル駅から徒歩圏内という好立地にありながら、静穏な住環境が広がるエリアにて、古家付き土地の取引を仲介いたしました。
本案件は、前面道路が狭あい道路であったため、豊島区との協議に基づきセットバック(敷地後退)を実施。道路中心線を確定させ、将来にわたって安心できる敷地境界を明確にしました。
また、既存建物の解体から更地渡しまでを当社がマネジメントし、買主様がすぐに建築計画に着手できる「きれいな土地」としてお引渡し。都心部の貴重な土地資産を、次世代へ適正な形で継承するサポートを行いました。
愛知県豊橋市の案件
2025年05月
愛知県豊橋市西小鷹野、地域住民に愛される店舗等が立地するエリアにおいて、事業用定期借地権付きの底地(土地)を取得いたしました。
本案件は、ロードサイド店舗として活用されている土地であり、借地契約の期間満了や更新等の権利調整が重要なテーマでした。当社は、土地所有者様と借地権者(テナント企業様)との間に入り、契約関係の整理や将来の土地活用方針について協議。
安定した収益不動産としての価値を維持しつつ、関係者全員が納得できる形での権利承継を実現しました。遠隔地の案件であっても、当社の権利調整ノウハウが活かせることを示した事例です。

愛知県豊橋市の案件

千葉県八千代市の案件
千葉県八千代市の案件
2025年05月
千葉県八千代市保品、緑豊かな自然と調和した閑静な住宅街にある、広大な敷地を有する戸建住宅の取引事例です。
本案件は、敷地面積が500㎡を超えるゆとりある物件で、建物も軽量鉄骨造のしっかりとした構造でした。当社は、その広さと建物の質を評価し、リノベーションや建て替え用地としてのポテンシャルを買主様に提案。
地域の建築協定や都市計画法に基づく制限等を詳細に調査し、トラブルのないスムーズな取引を実現しました。郊外ならではの「ゆたかな暮らし」を求めるニーズに応え、良質なストック住宅の流通に貢献しました。
東京都目黒区の案件
2025年11月
目黒区東山、人気の高い「池尻大橋」エリアの高台に位置するヴィンテージマンションの一室を取り扱いました。
本物件は、低層で落ち着いた佇まいが魅力のマンションですが、管理組合にて大規模修繕や規約改正などの重要な議論が進んでいる時期でもありました。当社は、管理状況や修繕積立金の状況を綿密に調査し、透明性の高い情報開示を徹底。
将来的な資産価値の維持・向上についても買主様に丁寧にご説明し、安心してご購入いただける環境を整えました。人気の東山エリアにおいて、管理状態の良いマンションの価値を正しく繋いだ取引です。

東京都目黒区の案件

東京都新宿区の案件
東京都新宿区の案件
2025年10月
新宿区百人町、山手線内側の広大な敷地に建つランドマーク的なタワーマンションの一室を取引いたしました。
本案件は、都心を見渡す眺望と充実した共用施設が魅力の物件です。当社は、専有部分のフルリノベーションを前提とした販売戦略を立案。スケルトン状態からの自由な間取り変更や、最新設備の導入によるバリューアップを提案しました。
単なる「中古マンション」ではなく、「自分だけの理想の住まい」を実現するための素材として訴求し、都心居住を志向する買主様へのマッチングに成功。大規模修繕履歴や耐震性などの安心材料もしっかりと提示し、信頼ある取引を行いました。
東京都江東区の案件
2025年02月
江東区大島七丁目、都営新宿線沿線の利便性が高く、生活施設が充実したエリアにて、大規模な事業用地の取引をまとめました。
本案件は、200㎡を超える整形地であり、マンション開発用地として極めて高いポテンシャルを持っていました。当社は、権利関係の整理や境界確定測量を主導し、デベロッパー様が即座に事業化できる状態へと仕上げて売却。
地域の街並み形成に大きく寄与する開発プロジェクトの起点となる取引であり、当社の用地仕入れ・調整能力の高さが発揮された事例です。

東京都江東区の案件

東京都江東区の案件
東京都江東区の案件
2025年05月
江東区大島四丁目、駅近で商店街も近い活気あるエリアにて、収益物件を含む土地取引を手掛けました。
本案件は、複数の筆にまたがる土地や既存建物(アパート等)の権利調整が必要な複雑な案件でした。当社は、借地権や賃借権の整理、建物の滅失登記、確定測量などを計画的に進め、最終的に大手ハウスメーカー様へ事業用地として卸しました。
狭あい道路の協議や近隣との境界立会いなど、開発に向けたハードルを一つひとつ丁寧にクリアにし、安全・安心な不動産取引を実現。地域の再開発と活性化に貢献する、プロフェッショナルな仕事です。
東京都江戸川区の案件
2025年09月
江戸川区東松本、親水緑道や公園が点在する穏やかな住宅街において、戸建用地の取得および流動化プロジェクトを行いました。
本案件は、道路付けや敷地形状に特徴がある土地でしたが、当社にて現地調査や役所調査を徹底し、建築可能なプランをシミュレーション。
古家の解体や境界の明示を行い、一般のお客様が安心して購入できる宅地として再生させました。地域密着の視点で土地の隠れた価値を見出し、次なる住まい手へとバトンを繋ぐ、堅実な不動産再生事業の事例です。

東京都江戸川区の案件

神奈川県横浜市の案件
神奈川県横浜市の案件
2025年05月
横浜市緑区三保町、豊かな自然環境と住宅地が調和するエリアにて、土地の整備・開発プロジェクトを推進しました。
本案件では、既存建物の解体工事や滅失登記、さらに境界杭の復元・設置といった測量業務を実施。隣接地との境界を明確にし、将来にわたる土地の安全性を確保しました。
また、開発許可を要する規模の土地であるため、行政との調整や近隣住民への説明など、丁寧なプロセスを経て事業化の道筋をつけました。見えない部分の権利関係や物理的状況を整え、土地の価値を最大化する当社の実務力が活かされています。
東京都目黒区の案件
2025年05月
目黒区大橋、渋谷駅へのアクセスも良く、目黒川の桜並木も楽しめる人気エリアにて、マンション一室の再生・販売を行いました。
「ハイシティ池尻大橋」は、利便性と資産性を兼ね備えた物件です。当社は、専有部分の給排水管更新を含むフルリノベーションを実施し、新築同様の快適性と安心感を付加。
デザイン性の高い内装と機能的な設備を導入することで、都心で働くシングル・ディンクス層のニーズに合致する住まいを提供しました。好立地マンションの価値をさらに高め、スピーディーな成約へと結びつけた成功事例です。

東京都目黒区の案件

埼玉県さいたま市の案件
埼玉県さいたま市の案件
2025年02月
さいたま市南区太田窪、生活利便施設が整った落ち着いた住宅街において、戸建用地の売却・流動化を行いました。
本案件は、古家付きの土地を当社が取得し、解体更地渡し条件にてハウスメーカー様へ売却したものです。隣接地とのブロック塀の越境問題を解決するための覚書締結や、確定測量による境界明示を確実に実施。
買主様が安心して建築計画を進められるよう、権利関係の瑕疵を完全に除去した状態でお引渡ししました。地道な調整業務を厭わず、確実な取引を遂行する当社の姿勢が評価されました。
東京都目黒区の案件
2025年05月
目黒区平町、東急東横線「都立大学」駅から徒歩圏内の閑静な住宅街に位置する低層マンションの一室を取引いたしました。
本物件は、第一種低層住居専用地域に佇む、落ち着いた環境が魅力です。当社は、リノベーションによるバリューアップを施し、単身者や投資家層に向けてアピール。
管理体制の良さや駅周辺の利便性も含めてトータルに提案することで、スムーズな売却を実現しました。目黒区・世田谷区を中心とした城南エリアでの豊富な取引実績と、地域密着の情報力が活かされた案件です。

東京都目黒区の案件

宮城県仙台市の案件
宮城県仙台市の案件
2025年02月
仙台市青葉区大町、仙台駅や中心繁華街へのアクセスが良好な都心エリアにて、区分所有マンションの一室を取得いたしました。
本案件は、オーナーチェンジ(賃貸中)物件としての取引であり、投資用不動産としての収益性や資産価値を見極めた上で取得を決定。敷金の承継や管理組合への届出など、オーナー変更に伴う手続きを迅速かつ正確に行いました。
当社は首都圏のみならず、政令指定都市などの地方中核都市においても、優良な不動産を見極め、積極的に事業展開を行っております。
東京都世田谷区太子堂の案件
東京都世田谷区太子堂の案件
2021年02月
太子堂の最寄り駅は住みたい街ランキングに常に上位に入っている東急田園都市線「三軒茶屋駅」です。
飲食店もファストフード、カフェ、パン屋、ケーキ屋、ファミレス、レストラン、バーなどあらゆるところにあるので自分だけのお気に入りのお店を見つけるのも楽しいです。
神奈川県厚木市の案件
2021年05月
本厚木は駅前に生活必需品を買うお店や飲食店もあり、少し歩けば相模川があり自然も豊かな街です。
現在、県央地域の物流拠点となっていますが、古来から交通の要衝として知られており津久井と平塚間の中間交易や大山詣の宿場町として発展しています。
神奈川県厚木市の案件
東京都品川区旗の台の案件
東京都品川区旗の台の案件
2021年02月
品川区にある旗の台駅周辺は閑静な住宅街として知られていますが、都心へも約30分ほどで移動できる好立地のため人気のあるエリアです。
旗の台には現在も中原街道が通っている事からもこの地に古くから人が住んでいたことが分かりますよね。
東京都武蔵野市の案件
2021年02月
武蔵野市にある三鷹駅は中央線の中でも人気のあるエリアで、住みたい街ランキングに上位30位にランクインしている事が多い街です。
お隣の吉祥寺駅と比べると人口密度がそこまで高くなく、落ち着いた雰囲気があって、緑もたくさんあるのが人気の理由です。
東京都武蔵野市の案件
東京都杉並区和泉の案件
東京都杉並区和泉の案件
2021年01月
杉並区内には3つの川が蛇行していますが、その周辺にはたくさんの遺跡が発見されています。
区内では縄文時代期早創期だった約1万2千年前の遺跡が集中的に発見された箇所があり、その辺りに最初の縄文人が住みついたと考えられています。
神奈川県川崎市高津区の案件
2021年01月
上野毛・瀬田地域は都内でも有数の邸宅地として知られていますが、江戸時代には多摩川を望む景勝地として知られていた場所でした。
またこの地域には「野毛大塚古墳」が発見されている事から5世紀初めごろから人々がこの地で生活していた事も分かっています。
神奈川県川崎市高津区の案件
横浜市青葉区美しが丘の案件
横浜市青葉区美しが丘の案件
2020年08月
横浜市美しが丘はイギリスの田園都市構想を参考にした理想的な街づくりを目指し利便性の高さと自然の多さが特徴的な街です。
以前は元石川町と呼ばれていました。この地域が丘陵地帯で自然環境が美しかったので、美しい街として発展していくことを願って「美しが丘」が選定されました。
横浜市緑区三保町の案件
2020年06月
三保町には榎下城跡がありますが、城跡の一部分でもある舊城寺(きゅうりょうじ)は神奈川県指定天然記念物でもあります。
榎下城は別名久保城とも言われ、1429年から1441年の間に上杉憲清により築かれました。その後1603年頃に佐藤氏が城域に舊城寺を開基した為、その後の行政に関する開発における改変の影響を受けなかったため、当時の遺構が比較的良い状態で保存されています。
横浜市緑区三保町の案件
横浜市神奈川区入江の案件
横浜市神奈川区入江の案件
2020年07月
入江がある横浜市神奈川区には「かめ太郎」というマスコットマークがありますが、これは神奈川区に「浦島太郎伝説」が残っている事が由縁となっています。
実際に区内に浦島丘という地名まで残っていますし、その他にも浦島太郎伝説の関係資料も現代まで残っています。
東京都江戸川区東小岩の案件
2020年05月
東小岩のある小岩地域は江戸時代に小岩駅が開業したことによって発展し、関東大震災後は行政の事業によって市街化が進んだ地域です。
周辺を江戸川と新中川に囲まれている地域で遺跡や渡し跡、旧道など歴史を感じる場所もあれば、昔ながらの商店街があったりと様々な顔があります。
東京都江戸川区東小岩の案件
東京都西東京市の案件
東京都西東京市の案件
2020年07月
西東京市は2001年に田無市と保谷市が合併して出来たので、21世紀最初の新設合併して誕生した市です。
名前は公募で集まった5つの候補から選ばれたが、全国的に方角が含まれる地名は多数あるものの「西」と「東」の2つの方角が含まれる名称は全国唯一の市となっています。
川崎市中原区苅宿の案件
2020年06月
神奈川県川崎市中原区苅宿地区は東急東横線の元住吉駅とJR南武線の平間駅の間に位置する地域です。
明治維新以降は、神奈川県に属して行政上は苅宿村→住吉村→中原町→川崎市と推移していきました。 昭和に入って、野菜栽培も行われた時期もありましたが1937年(昭和12年)頃からは多数の軍需工場が作られ、また工場建設に合わせて住宅も多く建設されていきました。
川崎市中原区苅宿の案件
東京都大田区仲六郷の案件
東京都大田区仲六郷の案件
2020年07月
国道15号線と東海道本線の間に位置して、京浜急行電鉄本線の雑色駅周辺から六郷土手駅の先、多摩川までの一帯に東京都大田区仲六郷地区があります。
江戸時代の浮世絵師 歌川広重が作品の題材として選んでいたので名所江戸百景の「八景坂鎧掛松」や東海道五十三次の「川崎 六郷渡舟」で江戸当時の六郷の様子がうかがえます。
横浜市港北区高田西第2弾の案件
2020年10月
港北区高田西地域は住宅地なので、住みやすさに定評のある地域です。交通の便が良く、区内の移動もスムーズに出来る地域です。
東海道新幹線の新横浜駅周辺にはコンサートやワールドカップなどが開催される横浜アリーナや日産スタジアム、新横浜ラーメン博物館などの観光スポットもあり多くの人が集まる地域でもあります。
横浜市港北区高田西第2弾の案件
横浜市港北区高田西の案件
横浜市港北区高田西の案件
2020年05月
横浜市港北区は昭和14年に誕生し、横浜港の北にある事から港北区と名付けられた地域です。
現在の行政地区になるまでには何度も行政区再編成を経ていますが、昭和39年の東海道新幹線の開通に伴って、横浜市の人口が増えてきたことから東急東横線沿いにあった田畑はどんどん埋め立てられ住宅や工場が次々に建てられていき、急速に変化をとげていきました。
東京都大田区田園調布の案件
2020年06月
田園調布は都内でも有数の高級住宅街として知られています。整備された街並みは雰囲気が良く歩いているだけでも楽しい場所です。
その一方で田園調布の周辺では古代の古墳が多数見つかっているのも有名で古くから人が住んでいたことが分かります。
東京都大田区田園調布の案件
東京都大田区久が原の案件
東京都大田区久が原の案件
2020年01月
大田区の中にある久が原地区は久が原遺跡が発掘されたことから住居として長い歴史がある事が分かっています。
1~2世紀には現在の久が原に人が住んでいたことが分かっていますし、古代遺跡がある事も有名な街です。
神奈川県横浜市中区の案件
2020年04月
中区はその名の通り横浜の中央に位置している事から区名が付きました。中区は丘陵地と海岸線に囲まれた土地で港湾施設や公園・道路の公用地が多くあります。
江戸時代に新田開発が行われる以前は半農半漁の地でしたが、横浜開港後は商店や外国の商館が建設され、行政や経済の中心地として発展しました。
神奈川県横浜市中区の案件
神奈川県川崎市宮前区の案件
神奈川県川崎市宮前区の案件
2020年03月
宮前区の南部に位置し、国道246号が域内を横断している有馬地区の一帯は多摩田園都市の一部として住宅地となっていて、わずかに果樹園などもみられます。また、宮前区唯一の高等学校である神奈川県立川崎北高等学校も所在しています。
今回、こちらに新築一戸建てに関する不動産取り引きを担当させていただきました。
神奈川県鎌倉市今泉台の案件
2020年01月
かつて今泉の一部だった南部側の丘陵地帯である今泉台。高度経済成長期に宅地開発が行われ新興住宅地となりました。
今泉は、鎌倉市の北辺に位置する丘陵地で、鎌倉市の大船地域に属し、北東で横浜市栄区公田町、東で栄区上郷町、南東で鎌倉市二階堂南で今泉台、西で高野・大字大船、北西で岩瀬と接しています。
今回はこちらの地域で宅地に関する不動産取り引きを担当させていただきました。
神奈川県鎌倉市今泉台の案件
東京都杉並区本天沼の案件
東京都杉並区本天沼の案件
2020年01月
お寺や公園、学校が多く、近くを流れる妙正寺川沿いには毎年、桜が咲きお花見が出来る閑静な住宅街、杉並区本天沼の宅地のお取引を担当させていただきました。
今回のお取引では、マイホームとしても投資用としても最適な戸建てのプランも合わせてご提案させていただき、買い主様の納得の行く円滑な不動産取り引きを心がけました。
東京都新宿区戸山の案件
2020年01月
近くに有名な戸山公園〔尾張藩徳川家下屋敷跡(戸山荘跡)・陸軍戸山学校跡〕がある東京都新宿区戸山の強固なSRC構造の11階建てのマンション。
今回はこちらのマンションの一室を仲介させていただきました。
住心地を考えての水道設備の調整、電気設備やキッチンまわりの整備などを行い、投資用の不動産物件としてキャッシュフローが生まれる物件に整えて不動産投資家の方にお売り渡しいたしました。
東京都新宿区戸山の案件
東京都目黒区碑文谷の案件
東京都目黒区碑文谷の案件
2019年07月
目黒区の碑文谷という珍しい地名は様々な説があり、中でも応永32年(1425年)の「日運記」の中に碑文谷という地名が著されていることからそのような名称になったという説が有力です。
今回はこちらの目黒区の碑文谷の土地の売買に関するコンサルティングを担当させていただきました。
参考プランも作成し、投資用としてこの目黒区碑文谷の区画を有効に活用していただけるご提案をさせていただきました。
東京都世田谷区梅ヶ丘の案件
2019年03月
元々、この地は北沢窪という地名だったのですが、駅をつくる時に駅名にするには不適当だということで、かつて麦畑の中に一基の古墳があり、出土品もあったことから梅ヶ丘の丘は古墳に由来するとの説と、この地の大地主旧家に梅の古木があり、同家の家紋も梅をかたどったものであるところから、これをとって「梅ヶ丘」という駅名をつけたそうです。
今回はこちらの宅地に関する不動産取り引きを担当させていただきました。
東京都世田谷区梅ヶ丘の案件
神奈川県逗子市桜山の案件
神奈川県逗子市桜山の案件
2019年07月
東部は東西に県道24号線横須賀逗子線が通る桜山地区は西南部に位置していて、葉山町との境には神奈川県内最大級規模の前方後円墳「長柄桜山古墳群(ながえさくらやまこふんぐん)」が存在する歴史の深い街です。
地名は古来、桜の木が多く生えていたからと言われ、江戸時代後期に書かれた地誌「三浦古尋録」は、かつて夢窓疎石が京に上る際、この地の桜を吉野に移植したとの説を紹介しています。
今回はこちらの地域で宅地に関する不動産取り引きを担当させていただきました。
神奈川県横浜市緑区の案件
2019年02月
古くは都筑郡久保村といい、明治22年の市町村制施行の際、中山村、十日市場村、榎下村、寺山村、台村、上猿山村、下猿山村、鴨居村、本郷村、上菅田村、新井新田と合併して新治村大字久保となる。町名は、旧村名を採れば「久保町」となるところ、横浜の旧市内に既に「久保町」があるため、久保村が3つの谷戸になっていて、その親睦互助の精神を表現し、明朗発展を祝して、「三谷戸」の「三」と「久保」の「保」を採り「三保町」と名付けたそうです。
今回はこちらの地域で宅地に関する不動産取り引きを担当させていただきました。
神奈川県横浜市緑区の案件
神奈川県横浜市港北区の案件
神奈川県横浜市港北区の案件
2019年02月
戦後初期から高度経済成長期にかけて、農地や樹林地における宅地開発が進み、農地だった場所が向上や倉庫などへの土地利用の転換が盛んに行われた、横浜市港北地区。
昭和39年には東海道新幹線の開通に伴って新横浜駅が開業するのと同時に新横浜駅北部地区土地区画整理事業が開始されて、横浜駅周辺、関内、関外地区に次ぐ横浜市第二の拠点としての整備が進められて現在の発展につながっていきました。
今回はこちらの地域で宅地に関する不動産取り引きを担当させていただきました。
神奈川県厚木市旭町の案件
2019年11月
本厚木駅から10分ほど歩くと、住宅街の中にあさひ公園という広々とした公園があります。この住宅街では比較的大きな公園で多くの人々の憩いの場となっています。厚木市には他にも七沢森林公園やぼうさいの丘公園、荻野運動公園など公園が多く、ゆったり生活していくには適した街になっています。
また、工業・住宅において、東京・横浜の衛星都市として知られる一方、多くの山間部や農業地帯を有していて、大山方面登山への入口となっている他、市内には複数の温泉地が所在しています。
今回はこちらの地域で宅地に関する不動産取り引きを担当させていただきました。
神奈川県厚木市旭町の案件
東京都調布市菊野台の案件
東京都調布市菊野台の案件
2019年04月
東京23区に隣接している交通の便がいいこの地域は、古くからの寺社や武蔵野の自然も残っている住宅地。
特に深大寺深大寺は、天台宗別格本山で、正式名称は浮岳山昌楽院深大寺、厄除元三大師でも知られています。広さは旧寺領でもあった神代植物公園とあわせて46万平方メートルあり、その境内には本堂や元三大師堂や、国宝に指定された銅造釈迦如来倚像」(白鳳仏)など見どころが多くあります。
今回はこちらの地域で宅地に関する不動産取り引きを担当させていただきました。
神奈川県鎌倉市雪ノ下の案件
2019年05月
神奈川県鎌倉市雪ノ下といえば、有名なのが鶴岡八幡宮です。
源頼義が1063年(康平6)、由比郷鶴岡に京都の石清水八幡宮を勧請し鶴岡若宮を称したところから始まります。
その後、1180年(治承4)に現在の地である神奈川県鎌倉市雪ノ下に移し、まちづくりに着手する、1191年(建久2)には火災を機に、上下両宮の現在の体裁となりました。本宮前からは、若宮大路を中心とした街並みが展望出来ます。
今回はこちらの地域で宅地に関する不動産取り引きを担当させていただきました。
神奈川県鎌倉市雪ノ下の案件
千葉県浦安市堀江の案件
千葉県浦安市堀江の案件
2019年07月
明治22(1889)年の村制施行時に浦安村を構成した3区画の1村(残る2村は猫実村、当代島村)
村名であった字名(地区名)「堀江」は、鎌倉時代、すでにこの地に小さな港が作られていたことから堀江村と名付けられたといわれています。
現在の堀江2丁目・3丁目の境川沿い、フラワー通りを中心とした地区は長く浦安一の繁華街として賑わっていて、演芸館や映画館などもありました。
今回はこちらの地域で宅地に関する不動産取り引きを担当させていただきました。
東京都世田谷区太子堂の案件
2018年05月
“太子堂村”と呼ばれていたこの地域の一部が三軒茶屋になったのは有名なお話です。
三軒茶屋という名称は「信楽(後の石橋屋)」、「角屋」、「田中屋」の三軒の茶屋が並んでいたことから、江戸時代後期には「三軒茶屋」と呼ばれるようになり、1932(昭和7)年の世田谷区成立時に正式な地名として採用されました。
そして、再開発事業により1996年に完成したキャロットタワーや大道芸のイベント、洒落た飲食店の増加など、ここ20年~30年でこの街に若者文化が根づいていきました。
今回はこちらの地域で新しくアパートの建築を担当させていただきました。
東京都世田谷区太子堂の案件
東京都世田谷区三軒茶屋の案件
東京都世田谷区三軒茶屋の案件
2018年12月
世田谷区の中でも知名度の高い商業地の一つであると同時に、「住みたい町」などのランキングの上位に名を連ねる人気の住宅地で、 「芸能人が多く住んでいる街」としても知られていて、カフェブームの隆盛に多大な影響を与えたことなどから「オシャレな街」として語られることが多いのが特徴です。
2015(平成27)年3月、三軒茶屋エリアの東を走る山手通りの地下に通っている首都高速道路中央環状線が全線開通し、“環”がつながったことで利便性が上がり更に魅力的な街に進化しました。
今回はこちらの地域で新しくアパートの建築を担当させていただきました。
東京都大田区大森北の案件
2018年07月
第二次世界大戦前、東京市の時代、旧大森町(現在の大森西、大森中、大森東、大森南、大森本町)という地名として存在していた、この大森地区。京浜東北線大森駅周辺には店舗が多く立ち並び、賑わいを見せています。
住宅地は駅の東側に位置しており、低地部となっています。
今回はこちらの地域で宅地に関する不動産取り引きを担当させていただきました。
東京都大田区大森北の案件
東京都大田区大森北の案件
東京都大田区大森北の案件
2018年07月
古くから農業と漁業が盛んなこの大田区大森地区は、“大杜”と記されていて、鎌倉時代の1204年には 大井郷の地頭が大井四郎に大杜と永富の郷を譲与した とあるのが文献上の初出になっているとのことです。
近くに羽田空港があることからも飛行機の歴史や構造を実体験を通じて学べるミュージアムなどがあり、観光地としても日本全国から多くの来訪者があります。
今回はこちらの地域で宅地に関する不動産取り引きを担当させていただきました。
東京都品川区荏原の案件
2018年07月
目黒蒲田電鉄、池上電気鉄道の開通と関東大震災後の東京郊外部の住宅地化に伴う人口増加により急速に発展した品川区の西部に位置するのがこの荏原地区。
域内は中原街道沿いに商業ビルやマンション等の高層建造物が見られ、ほかは主に住宅地となっています。
今回はこちらの地域で宅地に関する不動産取り引きを担当させていただきました。
東京都品川区荏原の案件
東京都世田谷区野沢の案件
東京都世田谷区野沢の案件
2018年02月
最寄りの駅は東急田園都市線三軒茶屋駅・駒沢大学駅、東急東横線学芸大学駅の3駅が使える利便性の高いこの世田谷区野沢エリア。
昔は、タッタ原とも呼ばれていて、馬引沢村のまぐさ場(馬・牛などの飼料・肥料にする草の採集地のこと)でした。正保期(1644年~1647年)に荏原郡六郷領沢田(大田区)の百姓田中七右衛門と、葛飾郡葛西領(江戸川区)の百姓野村次郎右衛門が、この地に入植して開発し、万治年間(1658年~1660年)に馬引沢村から独立して野沢村から“野沢地区”となったとされています。
今回はこちらの地域で宅地に関する不動産取り引きを担当させていただきました。
東京都豊島区高松の案件
2018年07月
北部は板橋区幸町、東部は池袋、板橋区南町、南部は要町、西部は千川と接していて、東京メトロ有楽町線・東京メトロ副都心線要町駅の北側の区域の豊島区高松。
近隣には、富士山を神の宿る場所として信仰する人々の集まりである富士講によって、江戸時代後期以降、主として富士登山が困難な人々のために、江戸とその周辺地域に築かれた国指定重要有形民俗文化財の豊島長崎の富士塚があります。
今回はこちらの地域で宅地に関する不動産取り引きを担当させていただきました。
東京都豊島区高松の案件
東京都台東区松が谷の案件
東京都台東区松が谷の案件
2018年02月
商店とオフィスビルと寺院と住居が混在した地域になっている、東京都台東区松が谷。
東端のかっぱ橋道具街通り沿いは、食器店や業務用の調理道具などを扱う店が軒を連ね、東隣の西浅草の同通り沿いを含めて、かっぱ橋道具街として知られ多くの人が訪れる活気に溢れた地域です。
今回はこちらの地域で宅地に関する不動産取り引きを担当させていただきました。
千葉県千葉市中央区の案件
2018年07月
千葉駅を中心に商業地区が並び、本千葉駅から京成千葉中央駅にかけての東側には県庁や裁判所など行政機関が集中している千葉市中央区。
金融機関や企業の本店・支店も多く、近年は都心回帰や、千葉駅周辺再開発の影響によりマンションが増えたため、人口は増加傾向です。
今回はこちらの地域で宅地に関する不動産取り引きを担当させていただきました。
千葉県千葉市中央区の案件
東京都豊島区千早の案件
東京都豊島区千早の案件
2018年09月
東京メトロ有楽町線・東京メトロ副都心線の千川駅~要町駅の南側に位置する地域の東京都豊島区千早。
この千早を始め、豊島区の西側(にしがわ)にあるまちは芸術(げいじゅつ)や文化を発信する街として知られています。
昭和のはじめから戦前にかけては、長崎や千早に絵や彫刻を勉強する学生向けのアトリエつきの住宅が建てられ、生活のための部屋が加わったつくりの家がいくつも並んでいたことからアトリエ村と呼ばれるようになりました。
今回はこちらの地域で宅地に関する不動産取り引きを担当させていただきました。
東京都大田区大森南の案件
2018年09月
平和の森公園フィールドアスレチックや天然温泉平和島など遊び場が多く、子供連れでも一日中楽しめるこの大田区大森エリアは商業エリアと住宅街が並ぶ東京都大田区大森。
東京都大田区の南東部に位置するこの地域は、第二次世界大戦前までは当地に森ヶ崎鉱泉(1901年(明治34年)湧泉)と海水浴場があり、東京近郊の保養地として賑わっていました。
今回はこちらの地域で宅地に関する不動産取り引きを担当させていただきました。
東京都大田区大森南の案件
東京都大田区大森北の案件
東京都大田区大森北の案件
2018年09月
1876年(明治9年)に大森駅が開業し、さらに1923年(大正12年)の関東大震災によって住宅の密集した都心から多くの人が移り住むようになった、東京都大田区大森北。
東京都大田区の北東部に位置するこの地域、駅周辺に高層建造物や小売店などが立ち並び、また道路沿いはビルやマンションが建てられていて、その他の地域は住宅地となっています。
今回はこちらの地域で宅地に関する不動産取り引きを担当させていただきました。
東京都目黒区五本木の案件
2017年06月
目黒区の北部に位置するこの目黒区五本木。
昭和43年1月1日、それまでの上目黒五丁目、三谷町の一部および中目黒三丁目の一部は、「住居表示に関する法律」による町名変更で、五本木一丁目・二丁目・三丁目となりましたが、昭和7年の区制施行によって姿を消した五本木という地名がよみがえりました。
今回はこちらの地域で宅地に関する不動産取り引きを担当させていただきました。
東京都目黒区五本木の案件
東京都世田谷区太子堂の案件
東京都世田谷区太子堂の案件
2017年05月
もよりの駅は、三軒茶屋駅、西太子堂駅。幹線道路は、国道246号線、世田谷通り、茶沢通り。三軒茶屋駅周辺と世田谷通り沿いに商業地が広がり、その他は住宅地が多い世田谷区太子堂。
三軒茶屋駅周辺も住所は太子堂で、西友などの商業施設などが立ち並ぶ中に東急世田谷線(三軒茶屋駅)がキャロットタワーの地上中心部から伸びていて、26階には地上を一望出来る施設が整っています。
今回はこちらの地域で宅地に関する不動産取り引きを担当させていただきました。
埼玉県草加市長栄の案件
2017年08月
江戸時代、日光街道で江戸から2つ目の宿場町草加宿として栄えた草加市長栄。
戦後当初の人口は5万人も居なかったが、高度経済成長期の1963年(昭和38年)に松原団地の造成や、東武伊勢崎線と営団地下鉄(現東京メトロ)日比谷線の相互直通運転開始により人口が爆発的に増大し、都市化が進行しました。
今回はこちらの地域で宅地に関する不動産取り引きを担当させていただきました。
埼玉県草加市長栄の案件
東京都世田谷区上馬の案件
東京都世田谷区上馬の案件
2017年09月
上馬1~5丁目と駒沢1・2丁目からなり、南側は目黒区と接している世田谷区上馬。
国道246号線沿いは高層マンションが林立し、駒沢大学駅付近や上馬1丁目の中里通りを中心に商店街を形成していて、少し離れると静かな住宅街が広がっています。
今回はこちらの地域で宅地に関する不動産取り引きを担当させていただきました。
東京都世田谷区上馬の案件
2017年03月
江戸時代の初め、馬引沢村(上郷、中郷、下郷)という名称だったのが、その後、上馬引沢村と下馬引沢村に分かれました。この上馬引沢、下馬引沢の下2文字を省略し、「上馬」「下馬」と呼ぶようなったという名称の歴史がある世田谷区上馬。
今回はこちらの地域で宅地に関する不動産取り引きを担当させていただきました。
東京都世田谷区上馬の案件
東京都港区三田の案件
東京都港区三田の案件
2017年02月
江戸時代は大名屋敷や御家人の屋敷が並んだ。三田四丁目の周辺には旧三田台町の台地が広がり、江戸時代には歌川広重によって月の岬として描かれるなど、風光明媚な地として知られた港区三田。
今回はこちらの地域で宅地に関する不動産取り引きを担当させていただきました。
東京都中野区中野の案件
2017年08月
旧東多摩郡の東半にあたる。東京23区の西部にあり、地形的には武蔵野台地の一角に位置する中野区中野。
東西に鉄道が数多く通り、渋谷区・新宿区・豊島区など大繁華街を有する区とも隣接しており、バスも渋谷駅・新宿駅・池袋駅から区内を結ぶ路線があるなど高い利便性を誇ります。
今回はこちらの地域で宅地に関する不動産取り引きを担当させていただきました。
東京都中野区中野の案件
東京都世田谷区池尻の案件
東京都世田谷区池尻の案件
2017年11月
東京都世田谷区の東部に位置し、世田谷地域と北沢地域にまたがる、主に住宅地となっている東京都世田谷区池尻。
北に代沢、目黒区の駒場、西に三宿、太子堂、南に下馬、東に目黒区の大橋、東山、上目黒に接しています。
今回はこちらの地域で宅地に関する不動産取り引きを担当させていただきました。
東京都目黒区駒場の案件
2017年04月
目黒区の北端に位置し、北に渋谷区上原、富ヶ谷、東に同区松涛、神泉町、目黒区青葉台、南に同区大橋、世田谷区池尻、西に同区代沢、北沢に接する東京都目黒区駒場。
鉄道の駅は、京王井の頭線駒場東大前駅が設けられている。幹線道路は、山手通り、補助54号線(航研通り)、淡島通りに面しています。
今回はこちらの地域で宅地に関する不動産取り引きを担当させていただきました。
東京都目黒区駒場の案件
東京都世田谷区用賀の案件
東京都世田谷区用賀の案件
2017年03月
鎌倉時代の初期に勢田郷にユガ(梵語)の道場が開設されて、後にこの地が真福寺の所有する所となったことから、このユガがヨーガになったのではないかと言われている東京都世田谷区用賀。
明治22年、それまでの奥沢・尾山・等々力・下野毛・上野毛・野良田・用賀・瀬田の8村が合併して玉川村が成立し、用賀村は大字用賀となりました。
今回はこちらの地域で宅地に関する不動産取り引きを担当させていただきました。
埼玉県さいたま市岩槻区の案件
2017年03月
さいたま市の東部に位置する。市街地は区の北寄りにある岩槻駅周辺となっている。区南部では浦和美園駅周辺の大規模区画整理事業であるみそのウイングシティの区域内となっており、宅地や商業施設の造成が進んでいる埼玉県さいたま市岩槻区本町。
今回はこちらの地域で宅地に関する不動産取り引きを担当させていただきました。
埼玉県さいたま市岩槻区の案件
神奈川県川崎市中原区の案件
神奈川県川崎市中原区の案件
2017年02月
東南側に武蔵小杉駅のある小杉町、東側に小杉陣屋町、西南で今井上町、西で上小田中及び宮内、北には等々力緑地のある等々力に接している。多摩川からも近い神奈川県川崎市中原区小杉御殿町。
今回はこちらの地域で宅地に関する不動産取り引きを担当させていただきました。
東京都世田谷区上馬の案件
2016年07月
文治5年(1189年)に源頼朝が奥州の藤原泰衡を討伐するため、この地を通ったときに、頼朝が乗った馬が突然暴れだして蛇崩川の深みに落ちて死んでしまいました。頼朝は、この事故の戒めとして「この沢は馬を引いて渡るべし」と申し渡したので、以後「馬引沢」の名が付けられたという東京都世田谷区上馬一丁目。
今回はこちらの地域で宅地に関する不動産取り引きを担当させていただきました。
東京都世田谷区上馬の案件
東京都港区三田の案件
東京都港区三田の案件
2016年08月
江戸時代は大名屋敷や御家人の屋敷が並んだ。三田四丁目の周辺には旧三田台町の台地が広がり、江戸時代には歌川広重によって月の岬として描かれるなど、風光明媚な地として知られた東京都港区三田二丁目。
今回はこちらの地域で宅地に関する不動産取り引きを担当させていただきました。
東京都三鷹市下連雀の案件
2016年05月
1700年前後に新田開発の進捗とともに、連雀新田が連雀村と称され、京都(朝廷)に近い方を「上」と称し、江戸方に近い方を「下」と称す慣習により上連雀村に対して下連雀村となった東京都三鷹市下連雀。
今回はこちらの地域で宅地に関する不動産取り引きを担当させていただきました。
東京都三鷹市下連雀の案件
東京都杉並区荻窪の案件
東京都杉並区荻窪の案件
2016年03月
杉並区中央部に位置する。住居表示実施後の荻窪は、北側でJR東日本中央線快速を境に上荻と、北東部で阿佐谷南、東側で成田東と、南側で五日市街道付近まで延びて成田西及び高井戸東と、西側で環八通りを境に南荻窪とそれぞれ接する区域であり、ほぼ中央を善福寺川が流れています。
今回はこちらの地域で宅地に関する不動産取り引きを担当させていただきました。
東京都世田谷区北沢の案件
2016年01月
東京都世田谷区の北東部に位置し、京王線、京王井の頭線、小田急小田原線で都心に直結し、沿線の明大前駅、下北沢駅、下高井戸駅、豪徳寺駅等の駅周辺は商業地として栄え、地域全体が市街化している東京都世田谷区北沢。
今回はこちらの地域で宅地に関する不動産取り引きを担当させていただきました。
東京都世田谷区北沢の案件
東京都葛飾区柴又の案件
東京都葛飾区柴又の案件
2016年08月
古くから題経寺(柴又帝釈天)の門前町として知られていましたが、映画『男はつらいよ・フーテンの寅さん』の舞台となったことでさらに広く認知されるようになった東京都葛飾区柴又。
今回はこちらの地域で宅地に関する不動産取り引きを担当させていただきました。
東京都港区東麻布の案件
2016年02月
港区の東は芝公園の南で三田、南西で麻布十番、西で六本木、北西で麻布永坂町・麻布狸穴町、北で麻布台と接していて、麻布十番の新一の橋交差点から東京タワーまでの一角にあたる東京都港区東麻布。
今回はこちらの地域で宅地に関する不動産取り引きを担当させていただきました。
東京都港区東麻布の案件
東京都渋谷区富ヶ谷の案件
東京都渋谷区富ヶ谷の案件
2016年02月
地域内の大半は住宅地となっており、路地部分は、多くが一戸建て住宅であるが、幹線道路沿いにはビルやマンションが目立つ。地形的には、渋谷の街の上流に位置し、宇田川と河骨川(ともに暗渠)の2つの谷が合流する地点となっている東京都渋谷区富ヶ谷。
今回はこちらの地域で宅地に関する不動産取り引きを担当させていただきました。
東京都港区三田の案件
2016年01月
江戸時代は大名屋敷や御家人の屋敷が並び、三田四丁目の周辺には旧三田台町の台地が広がり、歌川広重によって月の岬として描かれるなど、風光明媚な地として知られた東京都港区三田。
今回はこちらの地域で宅地に関する不動産取り引きを担当させていただきました。
東京都港区三田の案件
東京都世田谷区世田谷の案件
東京都世田谷区世田谷の案件
2016年06月
400年前の楽市を起源とし歴史は長く、現在では区最大のフリーマーケット・イベントになっている、毎年1月15・16日、12月15・16日の2回開催される年末年始の風物詩である世田谷ボロ市が開催される東京都世田谷区世田谷。
今回はこちらの地域で宅地に関する不動産取り引きを担当させていただきました。
東京都港区高輪の案件
2016年05月
東京都港区の南端に位置し、東京都心の境界に当たる地域。江戸時代は江戸の町外れで、町人町の他にも高台には諸藩の下屋敷(別荘)が置かれたことから、明治時代以降に財界人などの邸宅が建ち並ぶ地となった東京都港区高輪。
今回はこちらの地域で宅地に関する不動産取り引きを担当させていただきました。
東京都港区高輪の案件
東京都目黒区鷹番の案件
東京都目黒区鷹番の案件
2016年03月
現在の住居表示としてはもちろん、「住区」の名称としても広く知られる「鷹番」は、また、昔の目黒の姿を今に伝える数少ない地名の一つになっている東京都目黒区鷹番3丁目。
今回はこちらの地域で宅地に関する不動産取り引きを担当させていただきました。
東京都港区南麻布の案件
2016年10月
坂が多く見られ、港区西部に位置。北で西麻布、北東で元麻布・麻布十番、東で三田、南で白金、南西で渋谷区恵比寿、西で渋谷区広尾と隣接する東京都港区南麻布。
今回はこちらの地域で宅地に関する不動産取り引きを担当させていただきました。
東京都港区南麻布の案件
神奈川県海老名市下今泉の案件
神奈川県海老名市下今泉の案件
2015年11月
市内北部の相模川左岸付近に位置し、一帯は相模平野中央部にあたる。地内は工場や住宅が多いが、北部を中心に水田も見られる神奈川県海老名市下今泉。
東で上今泉、南東で泉、南から西にかけて上郷、北で座間市四ツ谷と接するほか、北東で座間市入谷ともわずかに接しています。
今回はこちらの地域で宅地に関する不動産取り引きを担当させていただきました。
東京都練馬区東大泉の案件
2015年06月
1889年(明治22年)には、上土支田村は町村制によって南の石神井村と合併し、石神井村大字上土支田になりました。さらに1891年(明治24年)、隣村の埼玉県新座郡にあった榑橋村が東京府に編入され大字上土支田と合併し北豊島郡大泉村が誕生しました。
現在の呼び名になったのは、1980年(昭和55年)8月1日の第18回住居表示の時です。
今回はこちらの地域で宅地に関する不動産取り引きを担当させていただきました。
東京都練馬区東大泉の案件
埼玉県草加市栄町の案件
埼玉県草加市栄町の案件
2015年05月
2003年(平成15年)3月19日に半蔵門線・東急田園都市線との相互直通運転も開始され、都心まで約15kmという利便性が高い立地にありながら宿場町の面影を残す住宅地でもある埼玉県草加市栄町。
今回はこちらの地域で宅地に関する不動産取り引きを担当させていただきました。
※こちらのコンテンツ内の文章の一部は、Wikipedia:ウィキペディアから引用させていただいています。